Tuxedo Bug: The Well Dressed Pest of the Northwest
A new fleet of Oregon pests are headed our way, as summer winds down and fall approaches. Among these pests is the tuxedo bug who will come waltzing in to our homes soon enough. Let’s learn a little bit about this fairly new pest and how to exterminate them from your home in the coming months.
Get a free pest inspection today so you know all your options and how bad the problem really is.
Appearance
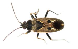
The tuxedo bug buzzed onto the Oregon pest control scene as of a couple years ago. They might remind you of a boxelder bug and with good reason, as they are quite similar. They are about a ¼ of an inch long and mostly black in color. Of course they have white markings that resemble a tuxedo. Adult tuxedo bugs have wings that allow them to zoom into your home by accident in search of shelter.

Photo via: https://jcmgf.org/new-bug-on-the-block/
Behavior
While the tuxedo bug does not pose a threat to humans or animals, they are still undesirable. They do not bite or sting, but they do head toward your home in large droves. They generally feed off of weeds, so a favorite place of theirs is an overgrown garden or yard. If they make their way into your home, it is quite by accident. They don’t intend on eating any furniture or causing any other damage, but they are unsightly and quite an un-ideal house guest.
Exterminate
All Natural Pest Elimination is equipped to handle the environmentally friendly extermination of tuxedo bugs. We use products that preserve the local environment, and take your health into consideration. If you are in Oregon or Idaho us a call at 1-877-662-8449.
Unlimited Service Warranty
If we don’t rid your home or office of tuxedo bugs we will come back at no charge to you!
- Safer For Family and Pets
- Over 20 Years Of Pest Control Experience
- Eco Friendly Products
- Short And Long Term Protection Plans
FREE Estimate Request:
Get Rid Of Tuxedo Bugs Today
[gravityform id=”3″ title=”false” description=”false” ajax=”true”]
< BACK